Consultări publice

Consultări publice privind modificarea denumirii Școli...

Primăria Comunei Stăuceni iniţiază, începând cu data de  23 decembrie 2020, cons...

Consultarea publică a Proiectului de Decizie cu privire...

Primăria Comunei Stăuceni iniţiază, începând cu data de 13 noiembrie 2020, consu...

Consultarea publică a PUD-ului privind construirea Staț...

Primăria comunei Stăuceni anunță consultarea publică a Planului Urbanistic de De...

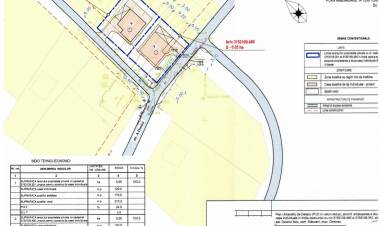
Consultare publică a PUD-ului privind construirea „a tr...

Primăria comunei Stăuceni anunță organizarea consultării publice a Planului Urba...

Consultarea publică a PUD-ului privind amplasarea obiec...

Primăria comunei Stăuceni anunță organizarea consultării publice a Planului Urba...

Consultarea publică a proiectului de Decizie „Cu privir...

Primăria Comunei Stăuceni iniţiază, începând cu data de 30 septembrie 2020, cons...

Consultarea publică a proiectului de Decizie „Cu privir...

Primăria Comunei Stăuceni iniţiază, începând cu data de 30 septembrie 2020, cons...

IMPORTANT/ Sondaj public!

În scopul consultării opiniei populației, propunem spre dezbatere publică includ...

Consultarea publică a Proiectului de Regulament privind...

Consultarea publică a Proiectului de Regulament privind organizarea şi desfăşura...

Invitație la consultări publice!

Primăria comunei Stăuceni invită consilierii locali, locuitorii și alte părţi in...

Consultări publice a PUZ privind sistematizarea teritor...

Primăria comunei Stăuceni anunță organizarea consultării publice a Planului Urba...

Consultarea publică a Regulamentului  privind modul de ...

Primăria Comunei Stăuceni iniţiază, începând cu data de 27 iunie 2020, consultar...

Consultări publice a PUD-ului privind amplasarea a dou...

Primăria comunei Stăuceni iniţiază, începând cu data de 26 iunie 2020, consultar...

Consultări publice a proiectului de Decizie cu privire ...

Primăria comunei Stăuceni iniţiază, începând cu data de 19 iunie 2020, consultar...

Consultări publice a Proiectului de Decizie despre apro...

Primăria Comunei Stăuceni iniţiază, începând cu data de 06 iunie 2020, consultar...

Consultarea publică a Strategiei de afaceri și antrepr...

Primăria Comunei Stăuceni iniţiază, începând cu data de 14 mai 2020, consultarea...

Sistemul de securitate de pe site-ul www.stauceni.md interzice utilizarea proxy-urilor!